Chapter 15 – Customizing The Interface

15.1 Customizing the interface

Exclamation Customizing the interface is a Professional & Technician license feature. Interface customization options are available in evaluation mode. However they will not appear when Recover My Files is activated with a Standard license key (see 4.2.4 for a comparison of license features).

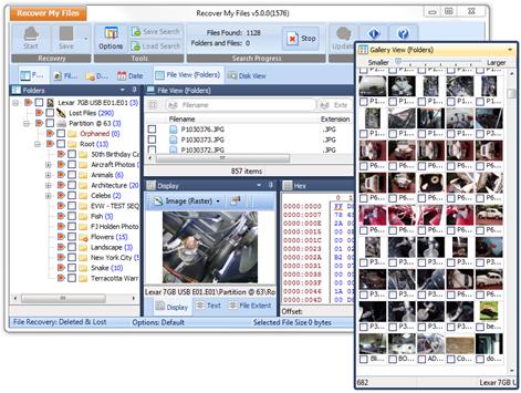
The Recover My Files v5 user interface is highly customizable and has been designed to maximize the benefits of using a multi monitor computer setup .Data views in Tree, List and Display panes can be detached to operate as stand-alone windows, or moved and re-attached to another pane. Custom layouts can be saved and reloaded on demand. An example is shown below:

Customizing Interface

Note that GUI customization feature is license key dependent:

Evaluation mode: Data views are locked when the program is first run. When unlocked, all interfaces customize options are available.

Standard license: Customization options are disabled. The Recover My Files interface is locked in its default setting.

Professional license: All interface customize options are available.

Technician license: All interface customize options are available.

15.1.1 Accessing the customization menu

To access the interface customization menu, click on the Menu Drop Down icon in any data view. The following menu appears:

Customization Menu

Lock Layout

When ticked, this option locks the layout in its current position (excepting windows that are currently detached). Its purpose is to stop the accidental detach / movement of a data views.

Default Layout

Selecting the default layout menu item returns the Recover My Files interface back to its default position, i.e. default tree pane data views left, list pane data views top and display pane data views bottom.

Load Layout

The load layout option enables the user to select an XML file containing a previously saved layout. The default open location is the Recover My Files installation folder.

Save Layout

The save layout option saves the current interface position into an XML file. The default save location is the Recover My Files v5 installation folder.

15.1.2 Undocking and docking data views

To undock a data view:

Undocking a view using drag and drop

Drag and Drop

To dock a data view:

Dock positioning arrows

Dock Position Arrows